vorheriges Dokument
nächstes Dokument

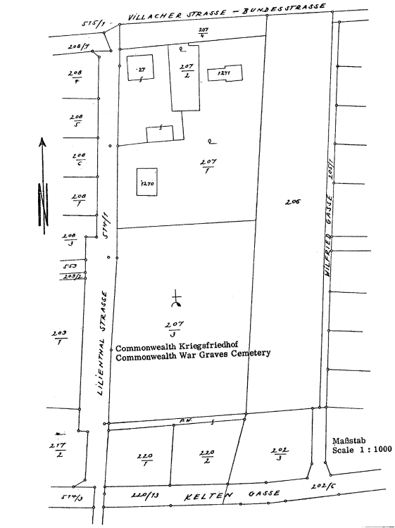
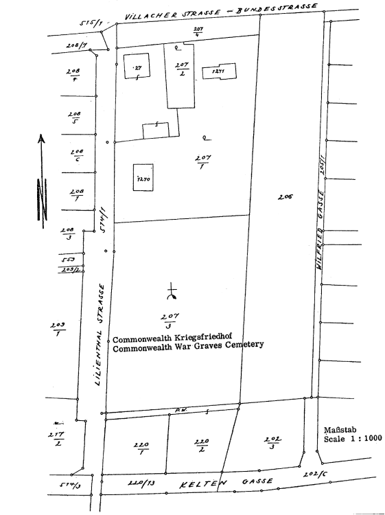
Anlage1 Commonwealth Kriegsfriedhof in Klagenfurt (Südafrika)

Aktuelle FassungIn Kraft seit 20.1.1968

Lageplan

Anlage1

betreffend das Grundstück Nr. 207/3 in der Katastralgemeinde Waidmannsdorf im Gerichtsbezirk Klagenfurt

Zusatzdokumente: image001

Lizenziert vom RIS (ris.bka.gv.at - CC BY 4.0 DEED)